목록
작성일:25-12-21 06:23    조회:4회    댓글:0건
글 제 목

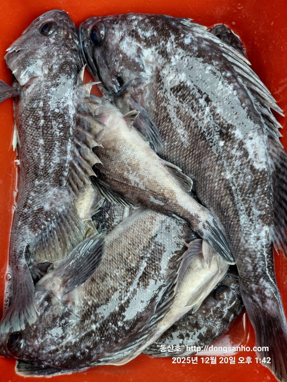
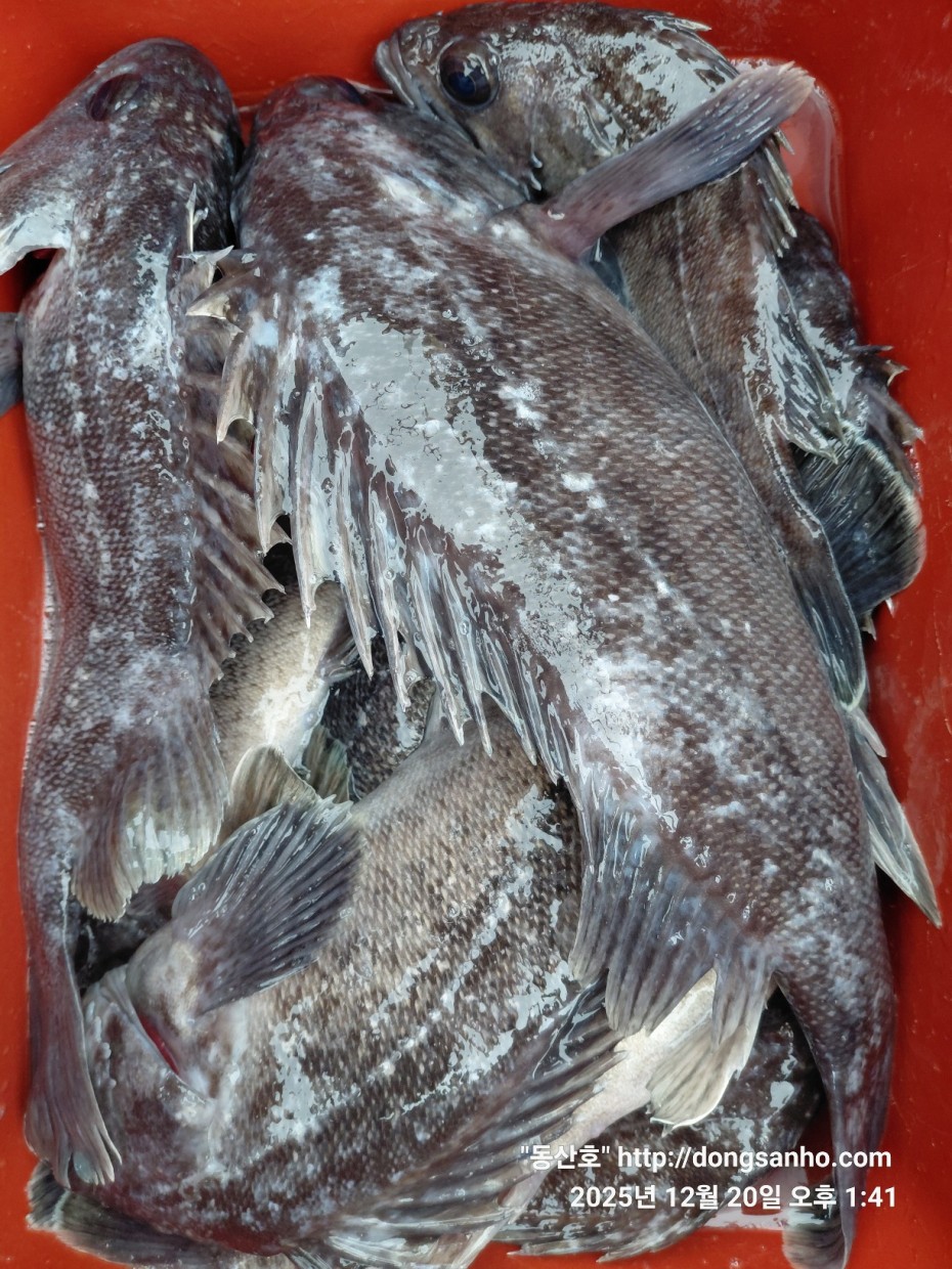
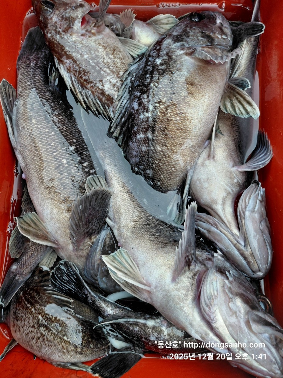
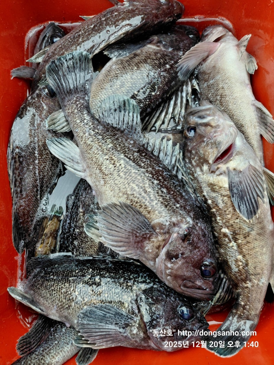
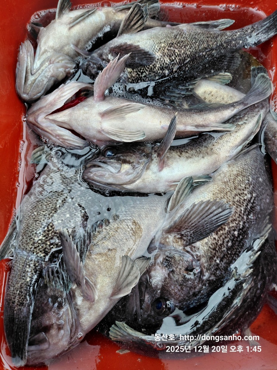
12/20 우럭 사릿물 조황

작 성 자 마도로스

본문




    ◇ 장고항 선상낚시 배낚시 바다낚시 낚시배 


         서해바다낚시 우럭낚시 조황



    날짜 : 12월20일 (토요일)


    날씨 : 오전(흐림) 오후(똥바람)


    물때 : 7물 (사릿물)


    성적 : 우럭 볼락 



    겨울 우럭낚시 다녀왔습니다.



    이제 사릿물때 출조는 아주 마니마니 힘드네요.


    오늘 물도쎄고 우럭 보기도 어렵고 점심전에 짧게 나와주었지만


    개인별 조황차이가 많이있네요.



    1~2월 저수온 영등철기간에는 물때 13~4물때 기상확인후


    가능하면 전화예약으로 진행합니다.



    오늘 하루도 수고들하셨습니다.


 

    ※12월 1월 2월 쭈욱~ 우럭낚시 예약진행중입니다.


    ※빠른 조황정보는 "동산피싱" 밴드에서 확인 부탁합니다.

 

    ※출조일정 실시간 예약현황 예약등록가능  "클릭"

 

    ※예약문의 : 010-8771-5168 



0bd46a48f032043a34ca265981df4bb5_1766265

0bd46a48f032043a34ca265981df4bb5_1766265

0bd46a48f032043a34ca265981df4bb5_1766265

0bd46a48f032043a34ca265981df4bb5_1766265

0bd46a48f032043a34ca265981df4bb5_1766265

0bd46a48f032043a34ca265981df4bb5_1766265

0bd46a48f032043a34ca265981df4bb5_1766265

0bd46a48f032043a34ca265981df4bb5_1766265

0bd46a48f032043a34ca265981df4bb5_1766265

0bd46a48f032043a34ca265981df4bb5_1766265

0bd46a48f032043a34ca265981df4bb5_1766265

     #선상낚시 #배낚시 #바다낚시 #낚시배

       #장고항선상낚시 #장고항배낚시 #장고항바다낚시 #장고항낚시배  

       #당진선상낚시 #당진배낚시 #당진바다낚시 #당진낚시배

       #우럭낚시 #서해우럭낚시 #개우럭 #참우럭 #조피볼락

       #서해선상낚시 #서해배낚시 #서해바다낚시 #서해낚시배

       #쭈꾸미낚시 #주꾸미낚시 #갑오징어낚시 #서해쭈꾸미낚시 #서해주꾸미낚시 

       #당진쭈꾸미낚시 #당진주꾸미낚시 #장고항쭈꾸미낚시 #장고항주꾸미낚시

       #광어 #다운샷 #광어다운샷 #대광어 #외수질 #산새우외수질 #농어 

       #농어외수질 #농어외수질낚시 #서해안선상낚시 #서해안배낚시​ 

댓글목록

등록된 댓글이 없습니다.