목록
작성일:25-12-17 23:01    조회:12회    댓글:0건
글 제 목

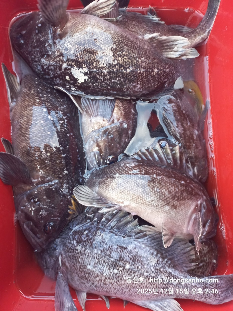
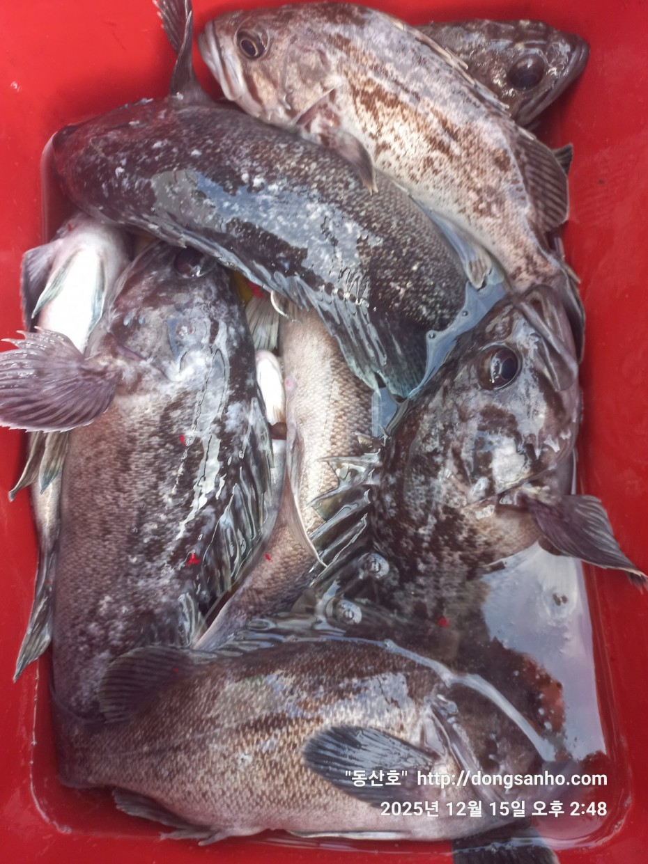
12/15 우럭낚시 조황

작 성 자 마도로스

본문

   

 

 

    ◇ 장고항 선상낚시 배낚시 바다낚시 낚시배 


         서해바다낚시 우럭낚시 조황


    날짜 : 12월15일 (월요일)

    날씨 : 흐림 

    물때 : 2물

    성적 : 우럭 볼락 


    겨울날씨 하루건너서 기상악화로 출조가 어렵네요.


    어제그제 비오고 바람불고 수온이 급하강했네요.

    오늘도 열심히 돌고돌아서 드실만큼씩은 들고 가셨네요.


    1월 물때부터는 저수온기간입니다.

    예약하실때 마음을 비우고 예약하세요.

 

    오늘 하루도 수고들하셨습니다. 

 

 

    ※12월 1월 2월 쭈욱~ 우럭낚시 예약진행중입니다.


    ※빠른 조황정보는 "동산피싱" 밴드에서 확인 부탁합니다.

 

    ※출조일정 실시간 예약현황 예약등록가능  "클릭"

 

    ※예약문의 : 010-8771-5168 



f122236a4d3e69e2ad7efdc33f5bf6e1_1765979

f122236a4d3e69e2ad7efdc33f5bf6e1_1765979

f122236a4d3e69e2ad7efdc33f5bf6e1_1765979

f122236a4d3e69e2ad7efdc33f5bf6e1_1765980

f122236a4d3e69e2ad7efdc33f5bf6e1_1765980

f122236a4d3e69e2ad7efdc33f5bf6e1_1765980

f122236a4d3e69e2ad7efdc33f5bf6e1_1765980

f122236a4d3e69e2ad7efdc33f5bf6e1_1765980

     #선상낚시 #배낚시 #바다낚시 #낚시배

       #장고항선상낚시 #장고항배낚시 #장고항바다낚시 #장고항낚시배  

       #당진선상낚시 #당진배낚시 #당진바다낚시 #당진낚시배

       #우럭낚시 #서해우럭낚시 #개우럭 #참우럭 #조피볼락

       #서해선상낚시 #서해배낚시 #서해바다낚시 #서해낚시배

       #쭈꾸미낚시 #주꾸미낚시 #갑오징어낚시 #서해쭈꾸미낚시 #서해주꾸미낚시 

       #당진쭈꾸미낚시 #당진주꾸미낚시 #장고항쭈꾸미낚시 #장고항주꾸미낚시

       #광어 #다운샷 #광어다운샷 #대광어 #외수질 #산새우외수질 #농어 

       #농어외수질 #농어외수질낚시 #서해안선상낚시 #서해안배낚시​ 

댓글목록

등록된 댓글이 없습니다.